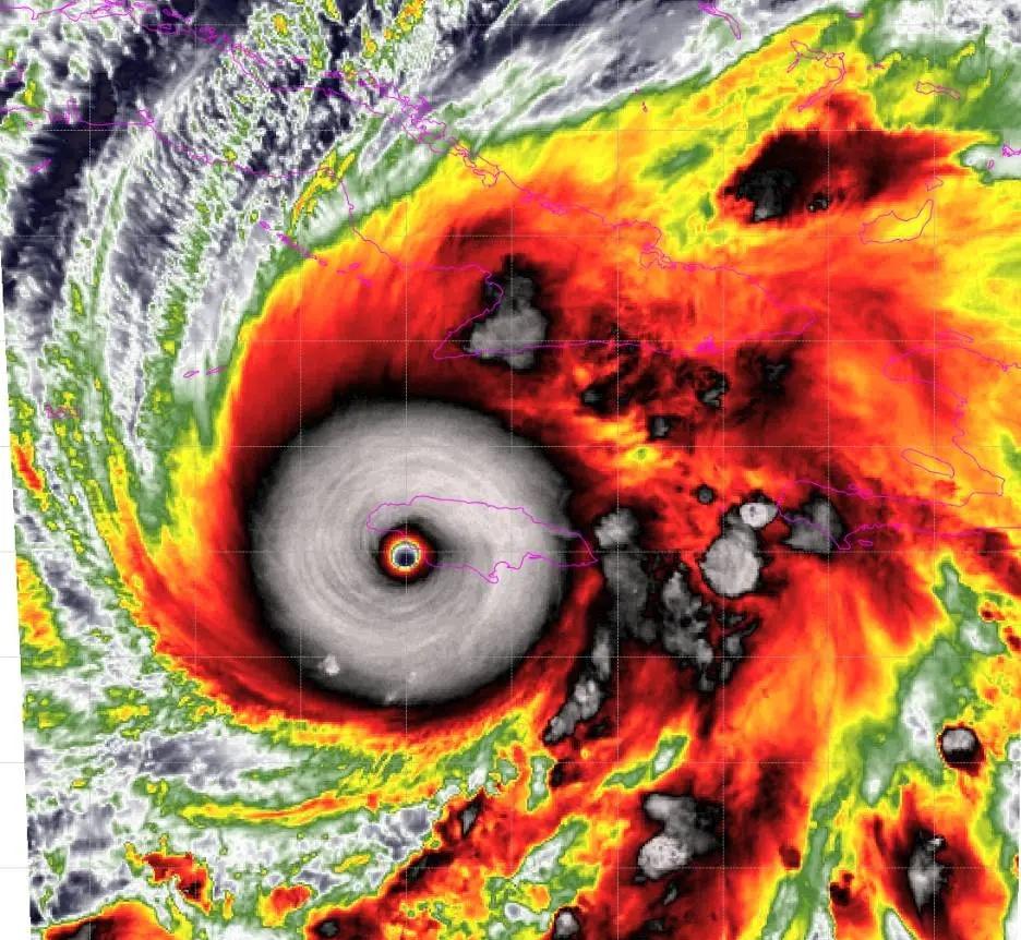
今年以来最强热带气旋登陆高产飞人的国度! 此刻,五级飓风“梅利莎”开始登陆牙买

自然预警瞭望 2025-10-29 01:41:58

今年以来最强热带气旋登陆高产飞人的国度! 此刻,五级飓风 “梅利莎”开始登陆牙买加!

0 阅读:16
自然预警瞭望

自然预警瞭望

感谢大家的关注